Quỹ đất vàng 1.124m² Hàm Nghi, Quận 1 – Sở hữu lâu dài
Sở hữu một vị trí không thể thay thế tại trung tâm Quận 1, quỹ đất vàng 1.124m² Hàm Nghi, Quận 1 – Sở hữu lâu dài mang đến tiềm năng tăng giá trị vượt trội. Nơi đây không chỉ là trái tim của thành phố mà còn là điểm hội tụ của những tiện ích hàng đầu và khả năng kết nối giao thông hoàn hảo, biến nó trở thành lựa chọn hàng đầu cho các nhà đầu tư chiến lược.
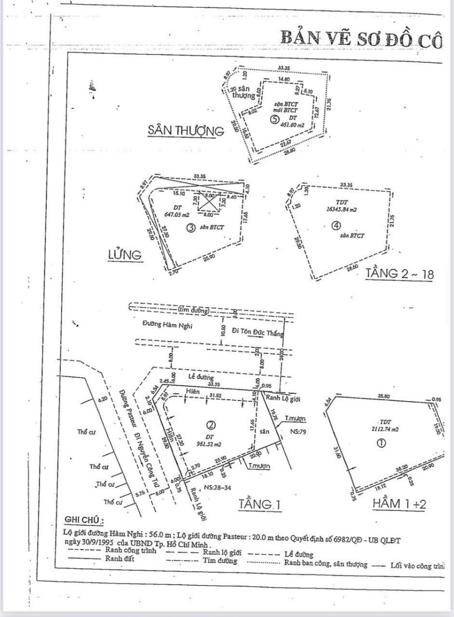
Vị trí: Nằm ngay góc ngã 3 Đường Hàm Nghi và Pasteur. Khu đắt địa nhất trung tâm Quận 1.
Diện tích: 1.124 m².
Diện tích đất: 1.124 m² ~ 32m x 36m.
Diện tích xây dựng: 961,5m². + MĐXD: 86%.
Tổng diện tích sàn 20.528,7 m².
Kết cấu: 2 Hầm + 1 Trệt + 1 Lửng + 18 Tầng + Sân Thượng (đã hoàn công đầy đủ).
Hình thức sang nhượng: Chuyển nhượng quyền Chủ quyền lâu dài.
Khả năng kết nối giao thông và tiếp cận tiện ích trung tâm
-
Kết nối giao thông:
-
Dễ dàng di chuyển đến các quận trung tâm khác như Quận 3, Quận 5, Bình Thạnh thông qua các trục đường chính.
-
Tiếp cận nhanh chóng đến các tiện ích công cộng như bệnh viện, trường học, trung tâm thương mại.
-
Tiện ích trung tâm:
-
Nằm ngay khu vực tập trung các tòa nhà văn phòng hạng A, khách sạn 5 sao.
-
Gần các địa điểm du lịch nổi tiếng như chợ Bến Thành, nhà thờ Đức Bà, Bưu điện Thành phố.
-
Sở hữu quỹ đất vàng 1.124m² Hàm Nghi, Quận 1 – Sở hữu lâu dài đồng nghĩa với việc bạn được thừa hưởng toàn bộ những lợi thế hạ tầng và tiện ích này, tối ưu hóa khả năng khai thác trong dài h
Yếu tố khan hiếm tạo nên giá trị bền vững
-
Nguồn cung hạn chế: Quỹ đất trung tâm, đặc biệt tại Quận 1, ngày càng ít, nâng cao giá trị từng mét vuông đất.
-
Nhu cầu cao: Các nhà đầu tư, đặc biệt là nhà đầu tư nước ngoài, luôn tìm kiếm các vị trí trung tâm hiếm có.
-
Giá trị gia tăng theo thời gian: Giá đất khu vực trung tâm luôn có xu hướng tăng ổn định, đảm bảo lợi nhuận lâu dài.
Việc sở hữu quỹ đất vàng 1.124m² Hàm Nghi, Quận 1 – Sở hữu lâu dài giúp nhà đầu tư yên tâm nắm giữ một tài sản khan hiếm, có tiềm năng sinh lời bền vững theo thời gian.
.jpg)
Bản vẽ toà nhà
Lợi thế sở hữu lâu dài và tính thanh khoản cao
Một trong những yếu tố quan trọng khiến quỹ đất Hàm Nghi trở nên hấp dẫn là quyền sở hữu lâu dài và tính thanh khoản cao, mang lại sự an tâm và lợi nhuận tối ưu cho nhà đầu tư.
An tâm đầu tư với quyền sở hữu vĩnh viễn
- Quyền sở hữu vĩnh viễn: Tạo sự an tâm tuyệt đối cho nhà đầu tư.
- Kế thừa cho thế hệ sau: Tài sản có giá trị lâu dài, có thể kế thừa cho con cháu.
- Không lo ngại về vấn đề pháp lý: Quyền sở hữu rõ ràng, minh bạch, đảm bảo an toàn cho khoản đầu tư.
Tính thanh khoản vượt trội so với các khu vực khác
- Dễ dàng mua bán, chuyển nhượng: Vị trí trung tâm, nhu cầu cao giúp việc mua bán, chuyển nhượng tòa nhà văn phòng trở nên dễ dàng.
- Giá trị cho thuê cao: Vị trí đắc địa thu hút nhiều doanh nghiệp, khách hàng tiềm năng, tạo ra nguồn thu nhập ổn định.
- Tiềm năng tăng giá trị lớn: Giá trị bất động sản trung tâm luôn có xu hướng tăng trưởng, đảm bảo lợi nhuận cho nhà đầu tư.
Đây là một trong những điểm cộng quan trọng khi xem xét đầu tư vào quỹ đất vàng 1.124m² Hàm Nghi, Quận 1 – Sở hữu lâu dài.
Tiềm năng khai thác đa dạng của tòa nhà văn phòng tại Quận 1
Với vị trí đắc địa và diện tích lý tưởng, quỹ đất Hàm Nghi có tiềm năng khai thác đa dạng, đặc biệt là phát triển tòa nhà văn phòng cho thuê và kinh doanh.
Cho thuê văn phòng
- Nhu cầu thuê văn phòng cao cấp: Quận 1 là trung tâm kinh tế, tài chính của thành phố, thu hút nhiều doanh nghiệp lớn trong và ngoài nước.
- Giá cho thuê văn phòng hạng A cao: Đảm bảo nguồn thu ổn định và lợi nhuận hấp dẫn cho nhà đầu tư.
- Tiềm năng tăng trưởng: Nhu cầu thuê văn phòng tại khu vực trung tâm dự kiến sẽ tiếp tục tăng trong tương lai.
Vị trí lý tưởng cho các hoạt động kinh doanh
- Vị trí đắc địa, lưu lượng người qua lại lớn: Tạo điều kiện thuận lợi cho các hoạt động kinh doanh, buôn bán.
- Thu hút khách hàng tiềm năng: Gần các trung tâm thương mại, khu dân cư cao cấp, văn phòng, thu hút lượng lớn khách hàng tiềm năng.
- Phù hợp với nhiều loại hình kinh doanh: Từ nhà hàng, quán cafe, cửa hàng thời trang đến các dịch vụ tài chính, ngân hàng.
Chính những yếu tố này giúp quỹ đất vàng 1.124m² Hàm Nghi, Quận 1 – Sở hữu lâu dài trở thành cơ hội đầu tư hiếm có, với khả năng khai thác linh hoạt và giá trị sinh lời vượt trội.
Cơ hội đầu tư bất động sản trung tâm TP.HCM
Quỹ đất Hàm Nghi không chỉ là một bất động sản mà còn là cơ hội đầu tư bất động sản trung tâm TP.HCM hiếm có, mang lại lợi nhuận bền vững và giá trị gia tăng theo thời gian.
Quận 1 – Trung tâm kinh tế, văn hóa của thành phố
- Trung tâm kinh tế: Tập trung các hoạt động kinh doanh, tài chính, ngân hàng hàng đầu của thành phố.
- Trung tâm văn hóa: Nơi giao thoa của nhiều nền văn hóa, có nhiều công trình kiến trúc lịch sử, địa điểm du lịch nổi tiếng.
- Hạ tầng phát triển: Hệ thống giao thông đồng bộ, tiện ích công cộng hiện đại, đáp ứng nhu cầu của cư dân và doanh nghiệp.
Xu hướng đầu tư vào bất động sản trung tâm
- Giá trị bền vững: Bất động sản trung tâm luôn có giá trị cao và ít bị ảnh hưởng bởi các biến động của thị trường.
- Tiềm năng tăng giá trị lớn: Nguồn cung hạn chế, nhu cầu cao tạo ra tiềm năng tăng giá trị lớn cho bất động sản trung tâm.
- An toàn và ổn định: Đầu tư vào bất động sản trung tâm được xem là kênh đầu tư an toàn và ổn định, bảo toàn vốn và mang lại lợi nhuận lâu dài. Cơ hội bán tòa nhà quận 1 với tiềm năng khai thác vượt trội.
Việc sở hữu quỹ đất vàng 1.124m² Hàm Nghi, Quận 1 – Sở hữu lâu dài chính là đón đầu xu hướng đầu tư bất động sản trung tâm – kênh đầu tư an toàn, ổn định và gia tăng giá trị theo thời gian.
Với vị trí đắc địa, tiềm năng khai thác đa dạng, quyền sở hữu lâu dài và tính thanh khoản cao, quỹ đất vàng 1.124m² Hàm Nghi, Quận 1 – Sở hữu lâu dài chính là cơ hội vàng cho các nhà đầu tư đang tìm kiếm một tài sản chiến lược tại trung tâm TP.HCM.
Liên hệ ngay hôm nay để nhận thông tin chi tiết, bảng giá và tư vấn chiến lược đầu tư tốt nhất cho bạn. Số lượng quỹ đất trung tâm cực kỳ hạn chế – đừng bỏ lỡ cơ hội sở hữu một trong những vị trí đắt giá nhất Quận 1!
.jpg)
.jpg)
